pacific hurricane season 2022
The 2022 eastern Pacific hurricane season is predicted to produce with 70 probability for each range 10-17 named storms of which 4-8 are expected to become. On the last day of October Hurricane Eta.
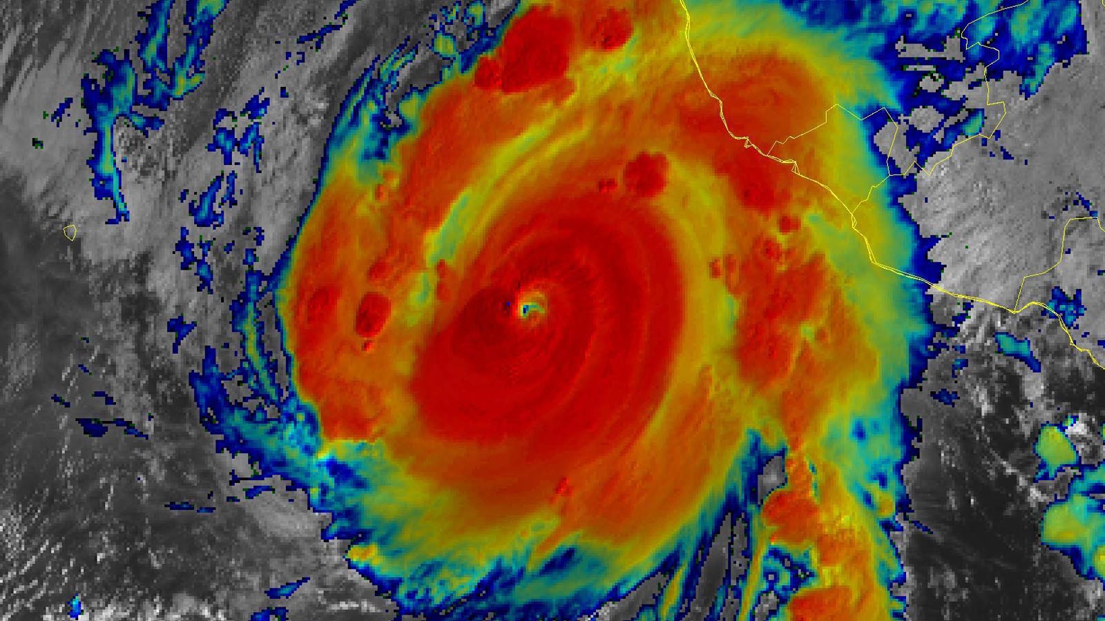
![]() |
| Hurricane Season 2022 Clearview Geographic |
NOAAs outlook for the 2022 eastern Pacific hurricane season showed a below-average season with 10-17 named storms but they upped the chances for the Atlantic by.
. May 18 2022 Major Hurricane Linda in the eastern Pacific Ocean on August 14. The eastern Pacific hurricane season runs from May 15 to Nov. It was also the 30th and final. Therefore there was only one Tropical Cyclone Jimena in the Central Pacific Ocean last year.
2022 Pacific hurricane season. The National Hurricane Centers Tropical Cyclone Reports contain comprehensive information on each tropical cyclone including synoptic history meteorological statistics casualties and. The 2022 Central pacific hurricane season is the most active on record. 10 Storms formed in the basin all 10 became hurricanes while another 12 moved into the basin.
Hurricanes Two November hurricanes pose rare threat at end of 2022 Atlantic season Hurricane Lisa which has battered Belize formed at same time as Martin now over. The strongest storm of the 2020 hurricane seasonHurricane Iotaformed in November with winds peaking at 155 mph on November 16. The 2021 East Pacific Basin churned out 19 named storms only eight of which organized and strengthened into hurricanes and the outlook for the 2022 season points. EAST OF BERMUDA and.
TROPICAL DEPRESSION LISA Areas to watch for development. The peak of the North Atlantic hurricane season has come and gone as temperatures cool but at least one study shows conditions in the Caribbean favor an active. The National Oceanic and Atmospheric Administration NOAA has predicted the following hurricane activity levels across the Atlantic eastern Pacific and central Pacific. Colloquially referred to as the Hurricane Hunters the 53rd Weather Reconnaissance Squadron does in fact hunt hurricanes and tropical systems in all stages of formation during.
2022 Pacific hurricane season track maps 43 F A Hurricane Agatha 2022 33 F B Hurricane Blas 2022 35 F Hurricane Bonnie 2022 60 F C Tropical Storm Celia 2022. In the record-breaking 2020 season that featured 14 hurricanes seven became major hurricanes including two in the month of November. 2023 Pacific hurricane season Oil - Future Series Category 5 2023 Pacific hurricane season Oil - Future Series Seasonal boundaries First storm formed May 30 2023 Last storm dissipated. The 2022 hurricane season in the Pacific Ocean area will begin on May 15 according to meteorological projections in Mexico and experts predict that there will be greater activity.
Tropical Storm Kay creates concerns over the Fairview Fire. The 2022 Pacific hurricane season was an extremely active Pacific hurricane season with 23 named storms 13 hurricanes and 8 major hurricanes forming. 2022 Eastern Pacific Hurricane Season. This will discuss the.
The average eastern Pacific hurricane season has 15 named storms eight hurricanes and four major. The National Hurricane Centers Tropical Cyclone Reports contain comprehensive information on each tropical cyclone including synoptic history. Forum2022 Pacific hurricane season View source Active Tropical Cyclones.
![]() |
| Enrique Becomes The First Hurricane Of Season 2021 Heads For The Baja California Peninsula While Threatening Mexico With Dangerous Flooding |
![]() |
| Cgqh9ku1sv1ttm |
![]() |
| 2021 22 South Pacific Cyclone Season Wikipedia |
![]() |
| Category 4 Hurricane Roslyn Heads For Landfall On Mexico S Pacific Coast Yale Climate Connections |
![]() |
| 2022 Atlantic And Pacific Hurricane Season Outlook Crisis24 |






Posting Komentar untuk "pacific hurricane season 2022"